OF THE CAROLINAS & GEORGIA

Spermatophytes (seed plants): Angiosperms (flowering plants): Eudicots: Core Eudicots: Asterids: Campanulids: Asterales

WEAKLEY'S FLORA OF THE SOUTHEASTERN US (4/14/23):
Eutrochium fistulosum   FAMILY Asteraceae__   Go to FSUS key



SYNONYMOUS WITH PLANTS NATIONAL DATABASE:
Eutrochium fistulosum   FAMILY Asteraceae__

SYNONYMOUS WITH Floristic Synthesis of North America. BONAP (Kartesz, 2021)

Eutrochium fistulosum

SYNONYMOUS WITH Flora of North America north of Mexico, vol. 19-20-21 (2006)

Eutrochium fistulosum

SYNONYMOUS WITH Phylogeny & biogeography of Eupatorium (Schmidt & Schilling, 2000)

Eupatoriadelphus fistulosus

SYNONYMOUS WITH Floristic Synthesis of North America (Kartesz, 1999)

Eupatorium fistulosum

SYNONYMOUS WITH Aquatic & Wetland Plants of Southeastern US (Godfrey & Wooten, 1979 & 1981)

Eupatoriadelphus fistulosus

SYNONYMOUS WITH VASCULAR FLORA OF THE CAROLINAS (Radford, Ahles, & Bell, 1968) 179-34-003:

Eupatorium fistulosum   FAMILY Asteraceae__

SYNONYMOUS WITH (MISAPPLIED) Manual of the Southeastern Flora (Small, 1933, 1938)

Eupatorium maculatum

 

COMMON NAME:
Hollow-stem Joe-pye-weed


         To see larger pictures, click or hover over the thumbnails.

image of Eutrochium fistulosum, Hollow-stem Joe-pye-weed

USDA-NRCS PLANTS Database / USDA Wetland flora: Field office illustrated guide    pnd_eufi_004_lvd

        

image of Eutrochium fistulosum, Hollow-stem Joe-pye-weed

JK Marlow    jkm190414_7420

April    Oconee County    SC

image of Eutrochium fistulosum, Hollow-stem Joe-pye-weed

JK Marlow    jkm0305t_03

May    Haywood County    NC

Corneille Bryan Native Garden

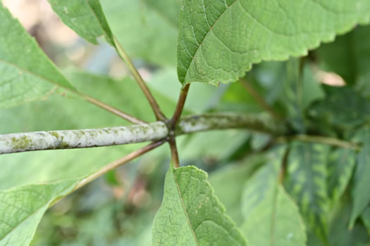
Leaves are blunt-toothed and in whorls of 4-7, per Wildflowers of the Southern Mountains (Smith, 1998).


click here to see other plants that look similar to this COMPARE leaves of Joe Pye Weed species

image of Eutrochium fistulosum, Hollow-stem Joe-pye-weed

JK Marlow    jkm080503_007

May    Greenville County    SC

Tall Pines Wildlife Management Area

Stems hollow, per Vascular Flora of the Carolinas (Radford, Ahles, & Bell, 1968).

image of Eutrochium fistulosum, Hollow-stem Joe-pye-weed

JK Marlow    jkm200525_5284

May    Greenville County    SC

Tall Pines Wildlife Management Area

It must be an especially tasty treat!

image of Eutrochium fistulosum, Hollow-stem Joe-pye-weed

JK Marlow    jkm0407i_29

July    Haywood County    NC

Corneille Bryan Native Garden

Stem covered with a whitish bloom, per Newcomb's Wildflower Guide (Newcomb, 1977).


click here to see other plants that look similar to this COMPARE stems of Joe Pye Weed species

image of Eutrochium fistulosum, Hollow-stem Joe-pye-weed

JK Marlow    jkm0407s_37

July    Pickens County    SC

Roadside

image of Eutrochium fistulosum, Hollow-stem Joe-pye-weed

JK Marlow    jkm060717_027

July    Greenville County    SC

Roadside/creekside

image of Eutrochium fistulosum, Hollow-stem Joe-pye-weed

JK Marlow    jkm060717_039

July    Greenville County    SC

Roadside/creekside

A glaucous, hollow stem tinged with purple throughout, per Wildflowers of the Southern Mountains (Smith, 1998).

image of Eutrochium fistulosum, Hollow-stem Joe-pye-weed

JK Marlow    jkm060723_121

July    Transylvania County    NC

Blue Ridge Parkway

Leaves in whorls of 3-7 (avg 5), per Weakley's Flora.

image of Eutrochium fistulosum, Hollow-stem Joe-pye-weed

JK Marlow    jkm060723_126

July    Transylvania County    NC

Blue Ridge Parkway

Stem strongly glaucous when fresh, per Weakley's Flora.

image of Eutrochium fistulosum, Hollow-stem Joe-pye-weed

JK Marlow    jkm120705_620

July    Greenville County    SC

Ashmore Heritage Preserve

image of Eutrochium fistulosum, Hollow-stem Joe-pye-weed

JK Marlow    jkm190719_9941

July    Transylvania County    NC

Pisgah National Forest: Pisgah Ranger District

image of Eutrochium fistulosum, Hollow-stem Joe-pye-weed

JK Marlow    jkm190719_9942

July    Transylvania County    NC

Pisgah National Forest: Pisgah Ranger District

image of Eutrochium fistulosum, Hollow-stem Joe-pye-weed

JK Marlow    jkm190719_9945

July    Transylvania County    NC

Pisgah National Forest: Pisgah Ranger District

image of Eutrochium fistulosum, Hollow-stem Joe-pye-weed

JK Marlow    jkm190719_9946

July    Transylvania County    NC

Pisgah National Forest: Pisgah Ranger District

Flowers all discoid (no ray flowers), per Vascular Flora of the Carolinas (Radford, Ahles, & Bell, 1968).

image of Eutrochium fistulosum, Hollow-stem Joe-pye-weed

JK Marlow    jkm240711_0239

July    Jackson County    NC

Blue Ridge Parkway

image of Eutrochium fistulosum, Hollow-stem Joe-pye-weed

Tim Spira    tpsefistulosum2

July        

Pollinator at work.

image of Eutrochium fistulosum, Hollow-stem Joe-pye-weed

Bobbie L Holt    blh549_a

August    Anderson County    SC

Carolina Wild Native Plant Nursery

image of Eutrochium fistulosum, Hollow-stem Joe-pye-weed

Gill Newberry    gn08_e_fistulosum_leaves

August        

image of Eutrochium fistulosum, Hollow-stem Joe-pye-weed

Gill Newberry    gn08_e_fistulosum_plant

August        

image of Eutrochium fistulosum, Hollow-stem Joe-pye-weed

JK Marlow    jkm0108b_34

August    Oconee County    SC

Oconee Station/Station Cove

Flowers bright pink-purple, inflorescence rounded, per Weakley's Flora.

image of Eutrochium fistulosum, Hollow-stem Joe-pye-weed

JK Marlow    jkm0408j_19

August    Oconee County    SC

A happy medley of many species: Joe-pye in the upper middle and right.

image of Eutrochium fistulosum, Hollow-stem Joe-pye-weed

JK Marlow    jkm170818_645

August    Jackson County    NC

Big Ridge Preserve

image of Eutrochium fistulosum, Hollow-stem Joe-pye-weed

JK Marlow    jkm170818_684

August    Jackson County    NC

Big Ridge Preserve

image of Eutrochium fistulosum, Hollow-stem Joe-pye-weed

JK Marlow    jkm170818_686

August    Jackson County    NC

Big Ridge Preserve

image of Eutrochium fistulosum, Hollow-stem Joe-pye-weed

Keith Bradley    kab_e_fistulosum_2329

August    Madison County    VA

Shenandoah National Park

image of Eutrochium fistulosum, Hollow-stem Joe-pye-weed

Keith Bradley    kab_e_fistulosum_2849

August    Graham County    NC

Nantahala National Forest

image of Eutrochium fistulosum, Hollow-stem Joe-pye-weed

Steve Marlow    snm140907_080

September    Jackson County    NC

Blue Ridge Parkway

image of Eutrochium fistulosum, Hollow-stem Joe-pye-weed

JK Marlow    jkm231013_6031

October    Spartanburg County    SC

Stems to 10' tall, per Guide to the Wildflowers of SC, 2nd ed. (McMillan, Porcher, Rayner, & White; 2022).

 

 

WEAKLEY'S FLORA OF THE SOUTHEASTERN US (4/14/23):
Eutrochium fistulosum   FAMILY Asteraceae__

SYNONYMOUS WITH PLANTS NATIONAL DATABASE:
Eutrochium fistulosum   FAMILY Asteraceae__

SYNONYMOUS WITH Floristic Synthesis of North America. BONAP (Kartesz, 2021)
Eutrochium fistulosum

SYNONYMOUS WITH Flora of North America north of Mexico, vol. 19-20-21
Eutrochium fistulosum

SYNONYMOUS WITH Phylogeny & biogeography of Eupatorium (Schmidt & Schilling, 2000)
Eupatoriadelphus fistulosus

SYNONYMOUS WITH Floristic Synthesis of North America (Kartesz, 1999)
Eupatorium fistulosum

SYNONYMOUS WITH Aquatic & Wetland Plants of Southeastern US (Godfrey & Wooten, 1979 & 1981)
Eupatoriadelphus fistulosus

SYNONYMOUS WITH VASCULAR FLORA OF THE CAROLINAS (Radford, Ahles, & Bell, 1968) 179-34-003:
Eupatorium fistulosum   FAMILY Asteraceae__

SYNONYMOUS WITH (MISAPPLIED) Manual of the Southeastern Flora (Small, 1933, 1938)
Eupatorium maculatum

 

Find by SCIENTIFIC NAME:

549

Forb
Perennial

Habitat: Moist forests, marshes, fields, ditches, per Weakley's Flora

Native to the Carolinas & Georgia

Common (uncommon in Coastal Plain)

map
CLICK HERE to see a map, notes, and images from Weakley's Flora of the Southeastern US.

LEAVES:
Simple
Whorls of 4-7

FLOWER:
Summer/Fall
Disc: Purplish-pink
Rays: Absent
Inferior ovary
Bisexual

FRUIT:
Summer/Fall
Lustrous black
Achene

 

TO LEARN MORE about this plant, look it up in a good book!



 


Find by SCIENTIFIC NAME: