Your search found 13 image(s) of leaves of Locust species.
To see larger pictures, click or hover over the thumbnails.
To go to the plant's detail page, click its name.
Black Locust,
Robinia pseudoacacia
Leaflets 7-19, elliptic to oblong-ovate or ovate, 2-5cm long, 1-2cm wide, per Vascular Flora of the Carolinas (Radford, Ahles, & Bell, 1968).
Clammy Locust,
Robinia viscosa
Branches and peduncles with sessile or subsessile, viscid, "clammy" glands, per Vascular Flora of the Carolinas (Radford, Ahles, & Bell, 1968).
Clammy Locust,
Robinia viscosa
Usually 13-21 leaflets [vs. R. hispida usually 9-13], per Robinia (Leguminosae: Papilionoideae) (Isely & Peabody, 1984).
Clammy Locust,
Robinia viscosa
Leaflets glabrate above, usually persistently appressed-villous beneath, per Robinia (Leguminosae: Papilionoideae) (Isely & Peabody, 1984).
Granite Dome Locust,
Robinia hartwigii
Leaflets usually 13-21, plants never with long, hispid pubescence, per Weakley's Flora (2015).
Granite Dome Locust,
Robinia hartwigii
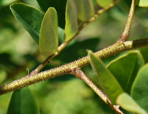
Branches and branchlets bearing viscid glands elevated
on short trichomes, per Revision of the genus Robinia (Leguminosae: Papilionoideae) (Peabody, 1984).
Granite Dome Locust,
Robinia hartwigii
Short glandular pubescence [vs. var. viscosa's sessile or bump-like glands], per Robinia (Leguminosae: Papilionoideae) (Isely & Peabody, 1984).
Common Bristly Locust,
Robinia hispida var. hispida
Twigs, leaf stalks and flower stalks are covered with bristly hairs, per Newcomb's Wildflower Guide (Newcomb, 1977).
Common Bristly Locust,
Robinia hispida var. hispida
Twigs and leafstalks conspicuously hispid with hairs 1-5mm long, per Weakley's Flora (2015).
Common Bristly Locust,
Robinia hispida var. hispida
Leaflets relatively narrow [vs. var. fertilis], mostly 1.8-2.5x long as wide, per Weakley's Flora (2015).
Boynton's Locust,
Robinia hispida var. rosea
Leaflets commonly large, conspicuously mucronate, from broad and obtuse to narrow and tapering, per Robinia (Leguminosae: Papilionoideae) (Isely & Peabody, 1984).
Kelsey's Locust,
Robinia hispida var. kelseyi
Has narrower leaflets than any other R. hispida except occasional forms of var. rosea, per Robinia (Leguminosae: Papilionoideae) (Isely & Peabody, 1984).
Kelsey's Locust,
Robinia hispida var. kelseyi
Leaflets 9-13, narrowly elliptic to lanceolate or oblong-lanceolate, per Vascular Flora of the Carolinas (Radford, Ahles, & Bell, 1968).